最新公示!位于昆明的国货美妆龙头有新动向
昆明信息港  3小时前

  

  10月14日

  昆明市自然资源和规划局发布了

  贝泰妮中央工厂二期

  智慧供应链建设项目工程

  规划许可证批前公示

  ↓

  

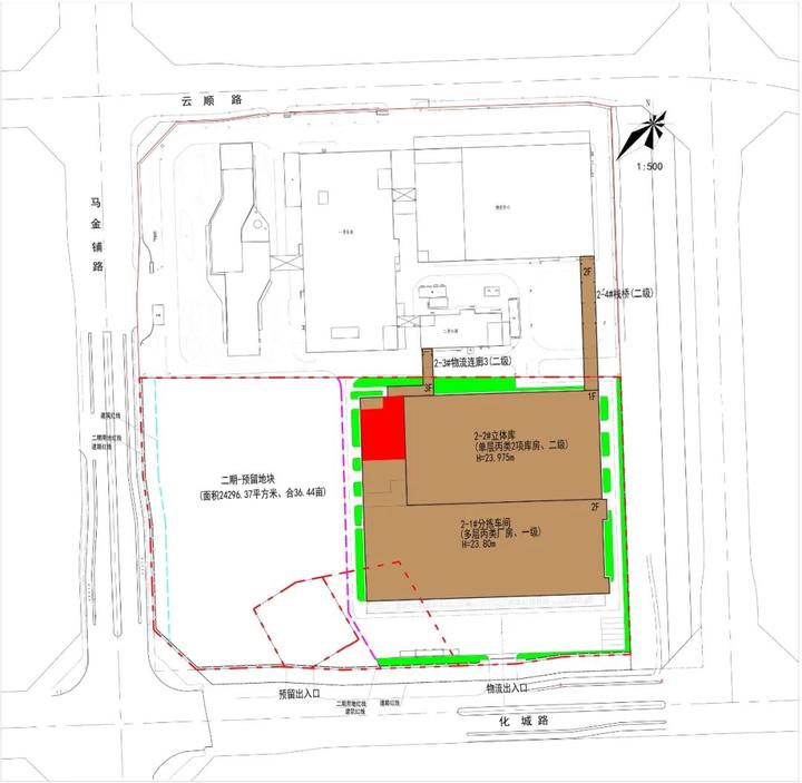
  贝泰妮中央工厂二期智慧供应链建设项目拟建于高新区东区,马金铺路与化城路交叉口,拟建4栋建筑,分别为分拣车间、立体库、物流连廊、栈桥。

  

  总平面图

  

  现状图

  贝泰妮是立足云南特色植物科技、以产学研医融合为核心驱动力的国货美妆龙头,旗下核心品牌薇诺娜连续多年蝉联中国敏感肌护肤品销冠。

  据了解,作为昆明市重点工业项目,二期建成后将与一期形成 “双工厂联动”模式,推动集团自产比例提升。智慧供应链的落地不仅能降低物流成本,更将强化贝泰妮在功效护肤领域的全链条可控竞争力,为其多品牌矩阵(薇诺娜、瑷科缦、贝芙汀等)的全球化发展奠定基础。

  

  重要景观效果图

  

  

  

  来源:昆明市自然资源和规划局

  部分内容综合自公开报道

  编辑:张 捷

  责编:张晓莉

  一审:廖晶蓉

  终审:杨世玥

  

  10月14日

  昆明市自然资源和规划局发布了

  贝泰妮中央工厂二期

  智慧供应链建设项目工程

  规划许可证批前公示

  ↓

  

  贝泰妮中央工厂二期智慧供应链建设项目拟建于高新区东区,马金铺路与化城路交叉口,拟建4栋建筑,分别为分拣车间、立体库、物流连廊、栈桥。

  

  总平面图

  

  现状图

  贝泰妮是立足云南特色植物科技、以产学研医融合为核心驱动力的国货美妆龙头,旗下核心品牌薇诺娜连续多年蝉联中国敏感肌护肤品销冠。

  据了解,作为昆明市重点工业项目,二期建成后将与一期形成 “双工厂联动”模式,推动集团自产比例提升。智慧供应链的落地不仅能降低物流成本,更将强化贝泰妮在功效护肤领域的全链条可控竞争力,为其多品牌矩阵(薇诺娜、瑷科缦、贝芙汀等)的全球化发展奠定基础。

  

  重要景观效果图

  

  

  

  来源:昆明市自然资源和规划局

  部分内容综合自公开报道

  编辑:张 捷

  责编:张晓莉

  一审:廖晶蓉

  终审:杨世玥